Important Project Update

The City of Durango Community Development Office was notified on January 9th, 2026 by the Durango Mall’s legal representation, Newbold Chapman & Geyer PC, that the Purchase and Sale Agreement between Kensington Development Group and the Durango Mall has been terminated as of January 8th, 2026. The Durango Mall has withdrawn their authorization for the land use and permitting approval for the submitted site plan.

Key Dates

DRP and CDC meetings follow Colorado Open Meetings Law, including public notice and posted agendas. View upcoming agendas and virtual meetings in links below. CDC meetings are hybrid, and physically take place in City Council Chambers at City Hall (949 E. 2nd Ave.).

Monday, January 12, 2026 4:30 pm to 6:00 pm

Durango Renewal Partnership Board Meeting

Agenda will be posted here at least 24 hours before the meeting.

Monday, February 09, 2026 4:30 pm to 6:00 pm

Durango Renewal Partnership Board Meeting

Agenda will be posted here at least 24 hours before the meeting.

Monday, February 23, 2026 5:00 pm to 7:00 pm

Community Development Commission Meeting

Agenda will be posted here at least 24 hours before the meeting.

About the Project

The Durango Renewal Partnership is considering the creation of a new Urban Renewal Authority Plan Area: The South Durango URA Plan Area. The South Durango URA Plan Area encompasses the Durango Mall and land across the Animas River on Sawmill Road. This new plan area would encompass a significant potential redevelopment of the Durango Mall.

The plan area is being considered by The Durango Renewal Partnership which is Durango’s Urban Renewal Authority, commonly referred to as the URA.

Current Status (1/12/26)

  • The City of Durango Community Development Office was notified on January 9th, 2026 by the Durango Mall’s legal representation, Newbold Chapman & Geyer PC, that the Purchase and Sale Agreement between Kensington Development Group and the Durango Mall has been terminated.
  • The Durango Mall has withdrawn their authorization for the land use and permitting approval for the submitted site plan.

Durango Renewal Partnership

The Durango Renewal Partnership is Durango’s Urban Renewal Authority, commonly referred to as the URA. It is governed by a Board of Commissioners that includes the five members of Durango City Council plus four additional commissioners appointed by the County, the School District, special districts, and the Mayor.

Urban renewal is used to encourage reinvestment in areas with documented conditions that meet state standards, and to help fund community improvements and public-benefit elements of redevelopment. An urban renewal area is essentially an area that can be developed for the benefit of the community, particularly in areas where there may be inadequate infrastructure, high land and labor costs, expensive housing, or even environmental contamination (as we saw in the old rifle scope property in Bodo Industrial Park).

These community benefits include additional housing, as was created at the Animas City Park Overlook project which is part of the North Main Gateway plan area. The Midtown plan area has helped area businesses through grants. Sales tax revenue in these areas increases and helps pay for the services and programs offered by the City, as well as other taxing entities such as La Plata County, Durango School District and the Durango Fire Protection District.

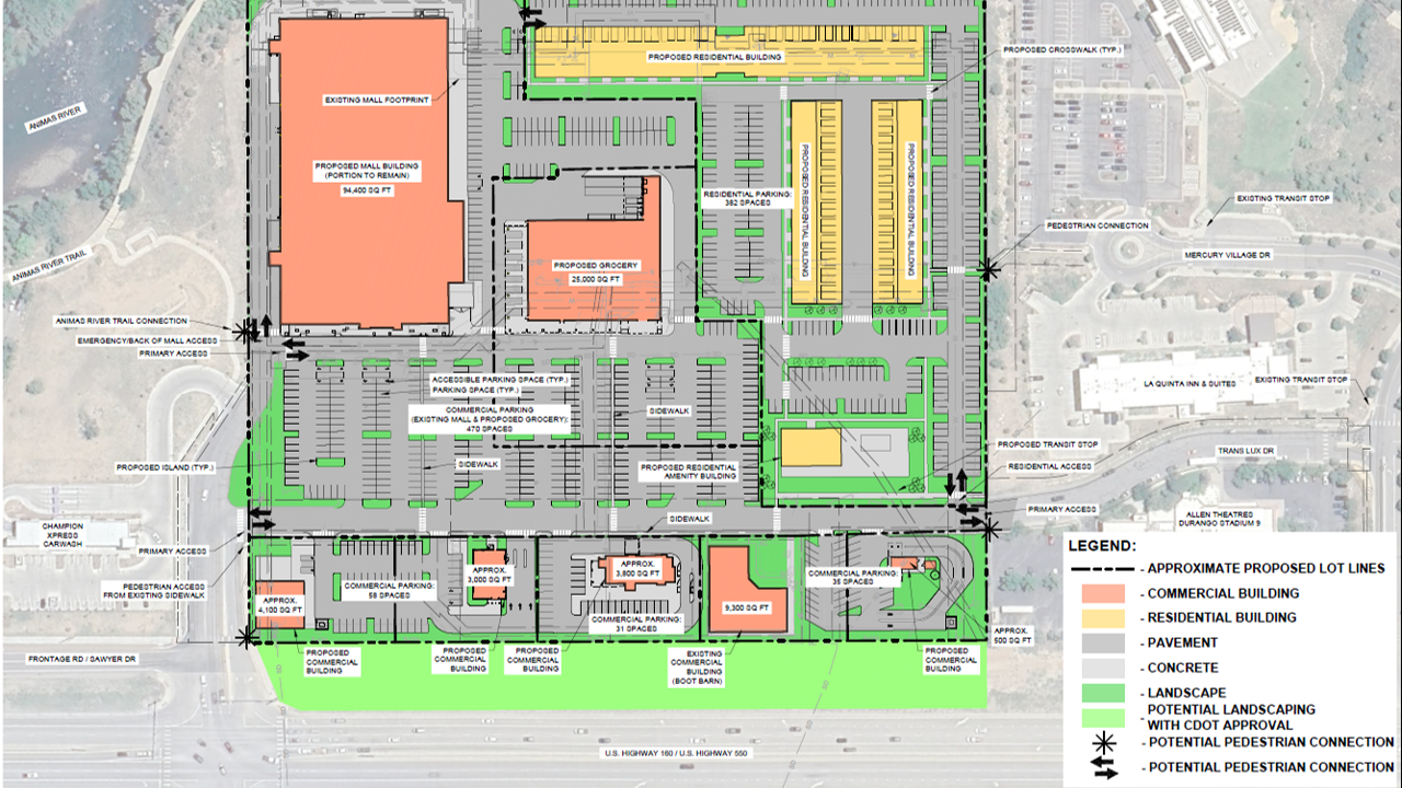
These benefits must be balanced against the impacts of growth such as increased traffic, overall demand for services and the potential impact on existing local businesses. As discussed at the 11/17/25 Durango Renewal Partnership meeting, a “South Durango URA Plan Area” is under consideration. The draft plan area for this URA includes the Durango Mall property, the Sawmill and Rivergate areas, and Bodo Industrial Park. The next steps include evaluating community benefit, alignment with City standards, long-term needs, and initiating stakeholder engagement. At the 12/4/25 Community Development Commission board meeting, the conceptual plan for the Durango Mall was presented.

Tax Increment Financing (TIF)

While the goal of an urban renewal area is to create benefits for the public, the private sector alone is often not able to overcome challenges of redevelopment in these areas. This is where tax increment financing potentially could be used.

Tax Increment Financing (TIF) is a funding tool available to urban renewal authorities. The basic concept is when a plan area is established, today’s property and sales tax levels in that area are treated as the “base.” Those base taxes continue to flow to taxing entities (City, County, School District, etc.). As redevelopment occurs, new tax revenue above the base is the “increment.” That increment can be reinvested in the plan area for up to 25 years, and after 25 years the revenues return to normal distribution. The property tax base is adjusted every two years to account for reassessment factors.

This incremental increase in taxes is allocated to an urban renewal authority (which oversees urban renewal areas) for redevelopment purposes, typically for 25 years. The TIF generated within a certain URA Plan Area can only be used and reinvesting into that specific plan area.

Once the 25-year lifespan of a URA plan area expires, the property tax collections for a redevelopment reverts back to the applicable taxing entities (i.e. city, county, school district).

A key concept in evaluating any request for TIF is the “but for” principle: whether a project is unlikely to happen as proposed without assistance. Any TIF discussion would also involve review of project finances and a determination of whether the public benefits justify the use of the tool.

  • Base: When a plan area is created, current property and sales tax values are set as the base. Base revenue continues flowing to taxing entities as before.
  • Increment: If redevelopment increases values and taxable sales, the new revenue above the base is the increment. The URA may reinvest some portion of that future increment in the plan area for up to 25 years.
  • Guardrails: The property tax base is adjusted every two years, and TIF revenue can only be spent within the plan area on activities allowed in the adopted urban renewal plan.

Future Decisions

Creating a new plan area is a public process that can take 9 to 12 months and includes a Conditions Survey, impact and feasibility work, public hearings, and City Council action.

  • Conditions Survey: Evaluates whether statutory criteria for urban renewal are present.
  • Impact Report and negotiations: If services or revenues of taxing entities are impacted, URAs must produce impact reports and negotiate agreements. Presenting the Impact Report initiates a 120 day review and negotiation period for taxing entities. During a TIF period, some portion of future tax growth that would otherwise go to taxing entities may be reinvested in the plan area, which is why this review and negotiation step exists.
  • But for principle: URA assistance is only considered when there is a documented financing gap and a finding that a project is unlikely to occur as proposed without assistance.

Local Business Questions

The City has heard concerns about potential impacts to existing local businesses. The required URA Impact Report focuses on impacts to taxing entities and public revenues. It is not designed as a market competition study of how one private business might affect another.

If a plan is proposed, there will be public meetings and hearings, and written public comments will be accepted as part of the process.